REQUEST A TOUR If you would like to see this home without being there in person, select the "Virtual Tour" option and your agent will contact you to discuss available opportunities.
In-PersonVirtual Tour

Listed by Melanie J Morgan • Benchmark Realty, LLC
$ 4,000,000
Est. payment /mo
Pending
0 Posey Hill Road Mount Juliet, TN 37122
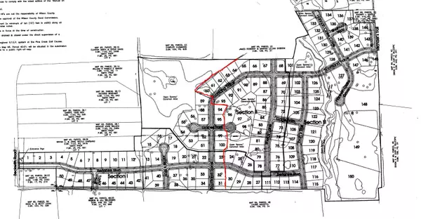
69 Acres Lot
UPDATED:
Key Details
Property Type Single Family Home
Listing Status Pending
Purchase Type For Sale
Subdivision Berkshire Ridge
MLS Listing ID 1964427
Annual Tax Amount $869
Lot Size 69.000 Acres
Property Description
Builder and Investors !! Great property for new residential homes. 29 Approved lots. Property needs to be developed. 69 acres for sell !!!! Map/Parcel: 095-040.00 39 acres 095-049.00 30 acres 0 Posey Hill Road Mount Juliet, Tn 37122 Map: 095 Parcel: 04000.000 0 Beckwith Road Mount Juliet, Tn 37122 Map: 095 Parcel: 04900.000
Location
State TN
County Wilson County
Zoning AGR
Interior
Fireplace N
Exterior
Utilities Available Water Available
View Y/N false
Building
Lot Description Hilly
Sewer STEP System
Water Public
New Construction false
Schools
Elementary Schools Mt. Juliet Elementary
Middle Schools Mt. Juliet Middle School
High Schools Mt. Juliet High School




